Entre público y privado. El espacio colectivo en la vivienda moderna chilena: arquitectura y legislación*


Abstract

Este artículo explora el surgimiento y la consolidación del espacio colectivo de uso común de los conjuntos de vivienda moderna en Chile. Se cruza el análisis morfológico a escala urbana de algunos conjuntos construidos en Santiago entre 1906 y 1959 con la mirada referida al ámbito legislativo habitacional, para dibujar la estrecha relación que existe entre ellos. El artículo concluye mostrando cómo las experiencias radicales de los años cincuenta y sesenta de Chile son el resultado de un profundo y complejo proceso de modernización del Estado y sus instituciones, de los avances disciplinares y de una nueva cultura metropolitana.


This article explores the rise and consolidation of shared use collective space in modern Chilean collective housing. Urban level morphological analysis of some collective housing projects built between 1906 and 1959 is intersected with a perspective that refers to the field of housing regulations in order to illustrate the closeness of their relationship. The article concludes by showing how the radical experiences during the fifties and sixties in Chile were the result of a profound and complex process of State and institutional modernization, progress in terms of discipline, and a new metropolitan culture.


Este artigo explora o surgimento e a consolidação do espaço coletivo de uso comum dos conjuntos residenciais modernos no Chile. Faz-se o cruzamento da análise morfológica a escala urbana de alguns conjuntos construídos em Santiago do Chile entre 1906 e 1959 com o olhar no âmbito legislativo habitacional para desenhar a estreita relação que existe entre eles. Este artigo conclui mostrando como as experiências radicais dos anos 1950 e 1960 do Chile são o resultado de um profundo e complexo processo de modernização do Estado e de suas instituições, dos avanços disciplinares e de uma nova cultura metropolitana.


La città è sempre stata largamente caratterizzata dalla residenza. Si può dire che non esistono o non sono esistite città in cui non fosse presente l’aspetto residenziale. Aldo Rossi, La arquitectura de la ciudad

Introducción

Aldo Rossi, en el libro La arquitectura de la ciudad, identificó con asertividad desconcertante la esencia de lo que puede considerarse una ciudad. Para este autor, la residencia es el elemento constitutivo de la ciudad. Por la existencia del espacio privado de las viviendas existe el espacio público de la ciudad.

El objetivo de este artículo es desdibujar el límite dicotómico que tradicionalmente se ha usado para definir el espacio urbano, entendido como una contraposición entre lo público y lo privado. Esto se logra describiendo el proceso de conformación del espacio colectivo, que en este artículo es aquel lugar nuevo —desde un punto de vista morfológico, urbano y legal—, fundamental y necesario para definir los conjuntos habitacionales modernos. El surgimiento y la consolidación del espacio colectivo se muestran estudiando algunos conjuntos habitacionales construidos en Santiago de Chile entre 1906 y 1959.1 Estas obras han sido objeto de la investigación del Fondo Nacional de Desarrollo Científico y Tecnológico (Fondecyt) titulada: Arquitectura y política habitacional: trece proyectos de viviendas económicas y la construcción de la metrópolis. Santiago 1948-1973, que se ha centrado en entender las relaciones entre la dimensión política y legislativa, vinculada a la vivienda y su impacto en la forma y estructura. La investigación ha permitido dar cuenta de cómo el espacio colectivo, que se afirma y reconoce legalmente durante las primeras décadas del siglo XX, se consolida en la mitad de siglo pasado y da forma a nuevos modelos urbanos, capaces de transformar grandes porciones de la ciudad de Santiago y de entregarle una imagen metropolitana.

El espacio colectivo se considera aquí ese espesor que se encuentra entre dos líneas de propiedad: las de la propiedad privada de las viviendas y las de la propiedad pública de la calle; un espacio común a todas las viviendas agrupadas en un determinado conjunto. Por lo tanto, es un espacio de copropiedad y convivencia. La profundización referida a este espacio colectivo de uso común se realiza cruzando dos ejes temáticos distintos: el legislativo y el morfológico.

Espacios público y privado a principios del siglo XX: una relación binaria

Son numerosas las investigaciones que se han encargado de revisar y analizar el desarrollo legislativo de Chile en el tema habitacional; van desde los trabajos clásicos de Luis Bravo Heitmann2 a los completos estudios de corte geopolítico de Rodrigo Hidalgo,3 o a los historiográficos que han realizado Alfonso Raposo,4 María José Castillo con Rodrigo Hidalgo5 o Luis Valenzuela.6 Los trabajos mencionados se pueden agrupar en dos grandes categorías: aquellos que analizan las leyes y los que estudian las obras. En este artículo se propone un análisis cruzado entre estos dos ámbitos complementarios, en el cual se destacan los argumentos y mecanismos que permitieron configurar el espacio colectivo en la vivienda económica chilena.

La Ley 1838 de 1906,7 llamada Ley de Habitaciones Obreras, marcó para Chile el inicio de la legislación en materia habitacional. A pesar de que se enfocaba en la dimensión colectiva de las viviendas, pues intervenía casas colectivas o conventillos, su texto no hace mención específica a los espacios comunes. En este momento, la emergencia higiénica y el control de enfermedades de contagio fueron los principales argumentos que guiaron el trabajo de médicos e ingenieros, quienes propusieron solucionar estos problemas desde la estructura institucional y legislativa del Estado. Esto se tradujo en medidas enfocadas en los espacios privados e interiores de las viviendas, más que a las estructuras compartidas de las agrupaciones.

El proyecto de la Población Huemul 1,8 de Ricardo Larraín Bravo, puede considerarse uno de los primeros proyectos de viviendas construidos para obreros como respuesta a la aprobación de la Ley de 1906 (fig. 1). Esta población fue experimental, por incorporar estándares urbanos e ingenieriles de vanguardia para la época (por ejemplo, el alumbrado público, el alcantarillado o el uso de bloques de hormigón como sistema constructivo) y por estructurarse en torno a dos plazas públicas alrededor de las cuales se disponía el equipamiento comunitario: la Gota de Leche,9 un teatro, una capilla, un consultorio, una sala de madres y una lavandería. El trazado urbano de esta población consiste en seis manzanas de casas de un piso de fachada continua, cuya puerta de acceso abre directamente a la calle. La relación entre el espacio público de la calle y el privado de las viviendas se estructura, de esta manera, en una relación binaria.

Figura 1.

Planta de trazado urbano de la Población Huemul 1. En la parte central se ubican los programas de carácter público. Fuente: Poblete, “Evolución de los espacios públicos”

27 dearq no20 art9 01.jpg

En 1925 se publica la Ley de Habitaciones Baratas, debido a la escasez del número de viviendas y a la crisis en el sistema de arrendamiento. Esta ley marcó el inicio en Chile de las cooperativas de viviendas, previó importantes exenciones para los edificios colectivos construidos en el radio urbano de las ciudades y proveyó, a través del Consejo Superior, la construcción gratuita de escuelas, plazas de juegos infantiles, policlínicos, farmacias, restaurantes populares, teatros y correos. De esta forma, se fomentó decididamente la creación de conjuntos de vivienda colectiva, haciendo hincapié en los equipamientos comunes que ellos iban a necesitar, pero sin mencionar todavía en específico los espacios colectivos y las dimensiones o cualidades que tendrían estos dentro de los conjuntos.

En 1931, el Decreto con Fuerza de Ley (DFL) 33,10 sobre fomento de la habitación obrera, creó la Junta Central de Habitación Popular, dependiente del Ministerio de Bienestar Social, con el objetivo de proporcionar viviendas higiénicas y de bajo precio a personas de bajos ingresos. Con los recursos de esta ley se podían construir edificios colectivos destinados a la vivienda de diez familias a lo menos, en los cuales podrían construirse locales destinados a la explotación comercial y para el recreo de la población infantil. Por primera vez, las leyes de fomento a la construcción hacen referencia explícita a la dimensión colectiva de los conjuntos. La condición multifamiliar, definida en el número mínimo de diez familias, era determinante en el momento de pensar y planear los espacios comunes ubicados fuera de los límites de los hogares, en los cuales pudieran fortalecerse los lazos sociales de los habitantes y desarrollarse actividades de recreo.

La Caja de la Habitación y la creación legal del espacio colectivo

La Ley 5950 de 1936 creó la Caja de Habitación Popular, destinada al fomento de la edificación de viviendas salubres de bajo precio y de huertos obreros y familiares. La Caja de la Habitación fue una institución clave en el proceso de modernización de la vivienda y de los problemas asociados a esta. Su existencia dio un fuerte impulso al desarrollo legislativo y a la consolidación de las propuestas urbanas y arquitectónicas modernas que se estaban posicionando en el contexto chileno, al tiempo que facilitó la creación de un número significativo de conjuntos habitacionales bien descritos por Luis Valenzuela en su investigación Mass Housing and Urbanization on the Road to Modernization in Santiago of Chile, 1930-1960.11

Ese mismo año entró en vigencia la Ley y Ordenanza General sobre Construcciones y Urbanización,12 que hacía referencia específica tanto al barrio obrero como al edificio de viviendas colectivas, respectivamente:13 “Barrio obrero: el destinado esencialmente para casas de habitación de obreros” y “Edificio de habitación colectiva: el de departamentos separados, cada uno destinado a una familia y que posee salidas comunes a una calle o a un pasaje”. Estas definiciones dan cuenta de cómo se estaba afincando en el aparato institucional del Estado la necesidad de crear el marco legal para proyectar y construir los barrios y conjuntos para los obreros mediante el uso del bloque con espacios colectivos como tejido conector entre los departamentos.

En esa misma dirección, pocos meses después de la creación de la Caja de la Habitación, se aprueba en Chile la ley que determinó la propiedad de los espacios comunes de un edificio de departamentos o de un conjunto habitacional. Se trata de la llamada Ley de Venta por Piso o Ley de Propiedad Horizontal, número 6071 de 1937,14 la cual dispuso que los pisos o departamentos en que se dividía un edificio pudieran pertenecer a distintos propietarios y que cada propietario fuera dueño exclusivo de su piso o de su departamento. Esta ley definió, además, el “espacio común”, que correspondía a los espacios necesarios para la “existencia, seguridad y conservación del edificio”15 y los espacios “que permitan a todos y cada uno de los propietarios el uso y goce del piso o departamento de su exclusivo dominio”.16 Al reforzar su condición de “comunes”, la ley detalla que “los bienes a que se refiere el inciso precedente en ningún caso podrán dejar de ser comunes”.17 A pesar de nombrarlos: patios, corredores, vestíbulos, etc., la ley no hace referencia a las características morfológicas que estos debían tener; sin embargo, se comienzan a normar los derechos y deberes de los copropietarios para con ellos. Los reglamentos de copropiedad se volvieron indispensables para coordinar la armonía de los espacios comunes en los edificios de renta o en los conjuntos de vivienda económica colectiva.

Lo expuesto hasta este momento da cuenta de cómo los bloques de departamentos se estaban afianzando entre las posibilidades de desarrollo residencial. Los beneficios de economía y rapidez en la construcción quedaron reflejados también en los debates parlamentarios que llevaron a la aprobación de la ley:

[…] d) La construcción de edificios colectivos, que son verdaderas casas superpuestas sobre un mismo solar, significa una apreciable economía con relación al edificio unifamiliar, tanto en el costo de la obra como en la adquisición del terreno. […] “Es indudable que la arquitectura moderna, […] ha impuesto los grandes edificios de muchos pisos, divididos en departamentos, como los que mayores ventajas y confort pueden proporcionar, y que esta forma de edificación ha de extenderse mucho en el futuro”.18

En el marco regulatorio de esta ley y al alero de estas discusiones se construye el Colectivo San Eugenio. La propuesta tipológica y la estructura urbana explotan incipientemente la Ley de Propiedad Horizontal. El conjunto se construye con base en dos pares de bloques separados por una plaza comunitaria que alberga un área deportiva y de esparcimiento. Cada uno de los pabellones residenciales alberga doce departamentos por piso, a los cuales se accede por medio de unos pasillos que se constituyen como verdaderos espacios colectivos donde la comunidad se reúne hasta el día de hoy. Otros aspectos significativos del conjunto son la terraza superior, de uso colectivo, en la cual se ubicaba un lavadero comunitario junto con un sistema de tendederos para secar la ropa; y el suelo del primer piso de la manzana, completamente interconectado. Las dos plazas internas, contenidas entre los bloques, cumplen la función de jardín comunitario para cada bloque; mientras que la plaza central acoge usos y funciones de escala urbana (fig. 2).

Figura 2.

Planta y axonometría del Colectivo San Eugenio. Fuente: Iglesias, “1933-1936: cambios físicos en la vivienda colectiva en Chile”

28 dearq no20 art9 02.jpg

Este caso conforma una de las primeras experiencias de urbanizaciones resueltas por medio de la repetición del bloque de departamentos, tipología que permitió aumentar la densidad habitacional y reducir la ocupación del suelo. El suelo, por lo tanto, se transformó en materia de libre disposición para los arquitectos, que podían pensar en generar en este espacios colectivos de uso común y programas comunitarios, todo ello permitido por la Ley de Propiedad Horizontal.

La Corporación de la Vivienda y el cambio de escala del espacio colectivo: desde la manzana colonial a la macromanzana moderna

Entre la creación de la Caja de la Habitación Popular, en 1936, que llegó a definir los estándares y las características de las viviendas económicas que financiaba, y la creación de la Corporación de la Vivienda (Corvi),19 en 1953, que a su vez propuso nuevos estándares edilicios, se promulgó, en 1948, la Ley 9135,20 mejor conocida como Ley Pereira, por el nombre de su autor. Esta ley no solo cambió la estructura fiscal y tributaria en el ámbito de la vivienda, sino que aumentó y consolidó la participación del sector privado, al facilitar de esta manera la entrada de nuevos capitales en la construcción de conjuntos y unidades vecinales, cada vez más grandes. Si por un lado la Ley 6071 creó legalmente el espacio colectivo, la Ley Pereira tuvo un impacto muy importante en la dimensión y complejidad de los conjuntos habitacionales de la época y, por lo tanto, en las características y protagonismo que adquirió el espacio colectivo en estas obras.

Los parámetros urbanos de la Ley Pereira estaban definidos por la Ordenanza de Urbanización y Construcciones Económicas, aprobada en 1944, que establecía que las plazas, calles, pasajes y espacios libres de uso público podían variar entre un mínimo del 25 % hasta un máximo del 40 % de la superficie total del terreno; sin embargo, el Departamento Técnico de la Caja estaba autorizado para aprobar un porcentaje menor o mayor de espacios libres con las argumentaciones necesarias que lo justificaran. La Ordenanza establecía que la densidad máxima de nuevas poblaciones en las ciudades con más de 100.000 habitantes podía ser de 700 habitantes por hectárea. Cabe mencionar cómo estos valores tenían un carácter referencial, ya que en algunos conjuntos emblemáticos de este periodo, como la Unidad Vecinal Portales o la Unidad Vecinal Providencia, la superficie libre alcanzó el 80 % de la superficie total del terreno y la densidad llegó a 350 habitantes por hectárea, en el primer caso, y a 647 habitantes por hectárea, en la Unidad Vecinal Providencia.

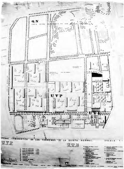
La mencionada Unidad Vecinal Portales se construyó entre 1955 y 1969 y es considerada un ejemplo emblemático de las nuevas ideas urbanas modernas y de las posibilidades de desarrollo del nuevo marco legislativo recién descrito. Aquí el espacio colectivo de uso común fue el verdadero protagonista de la vida urbana. En un artículo de la revista Chile Construye,21 dedicado a este proyecto, se describen las tres principales estrategias proyectuales puestas en juego en la obra. La primera fue la “ampliación” de la zona destinada a parque público; la segunda fue la construcción del conjunto “en forma tal que sus áreas sean la prolongación del mismo parque y tengan el carácter de públicas”;22 mientras que la última operación consistía en la edificación de la Universidad Técnica del Estado en los terrenos aledaños a la obra. La dimensión colectiva del terreno en el cual se construyó la Unidad Vecinal Portales dista mucho de la condición binaria del espacio público y privado de los barrios mencionados al inicio de este artículo. Aquí, entre el espacio privado de los departamentos y el espacio público de la ciudad hay un verdadero tejido conectivo determinante para el funcionamiento de la vida comunitaria (figs. 3 y 4).

Figura 3.

Áreas verdes en copropiedad de la Unidad Vecinal Portales. Fuente: Fondo René Combeau, Archivos de originales SLGM, FADEU, PUC Chile

29 dearq no20 art9 03.jpg
Figura 4.

Planta de ubicación de la Unidad Vecinal Portales en el Parque de la Quinta Normal de Agricultura. Fuente: Fondo BVCH, Archivos de originales SLGM, FADEU, PUC Chile

30 dearq no20 art9 04.jpg

En 1959 se promulgó el DFL 2, que amplió las atribuciones de la Corvi, al transformarla en el organismo centralizador de la política habitacional. Con la aprobación de este decreto, que eliminó el límite de cinco pisos para las viviendas económicas, se modificaron algunos de los proyectos de unidades vecinales que se estaban construyendo y se empezaron a incluir torres y edificios en altura en las propuestas de viviendas económicas. Con ello se aportó una nueva escala al contexto urbano de Santiago, que se enfrentaba a un importante proceso de metropolización.

El proyecto que sufrió más transformaciones con esta situación fue la Unidad Vecinal Providencia. Este conjunto inicia su construcción en 1954, en el corazón de la Comuna de Providencia, en un gran parque de carácter colectivo. Si se compara el proyecto desarrollado antes de la aprobación del DFL 2 con la versión posterior —que al final se construye— es notoria la aparición de grandes torres en el extremo norte del sector y la sustitución de bloques de cinco pisos por bloques de once pisos. Lo que se mantuvo casi sin variaciones es el espacio colectivo en el primer piso, que ocupa el 80 % del total de la obra (figs. 5 y 6).

Figura 5.

Planta del primer proyecto de la Unidad Vecinal Providencia. Fuente: Gobierno de Chile, Corporación de la Vivienda, Plan Habitacional Chile, 36

31 dearq no20 art9 05.jpg
Figura 6.

Axonometría de la Unidad Vecinal Providencia en su estado actual. Fuente: Fondecyt de Iniciación 11121338. Investigador responsable: Umberto Bonomo (sin coinvestigador)

32 dearq no20 art9 06.jpg

La aprobación del DFL 2 constituye un punto clave en el proceso de transformación del aparato legislativo e institucional del Estado chileno vinculado a la vivienda colectiva. La liberación de la altura en la vivienda económica, junto con el desarrollo de proyectos cada vez más ambiciosos, donde el espacio colectivo fuera el protagonista, aportó una nueva escala y uso a la ciudad de la época.

Conclusiones

Solo una ciudad puede ser habitada, pero no es posible habitar la ciudad si esta no se dispone para el habitar; es decir, si no “proporciona” lugares. El lugar es allí donde nos paramos: es pausa; es algo análogo al silencio en una partitura. La música no se produce sin el silencio.

Massimo Cacciari, La città

El espacio colectivo, cuya definición legal se ha expuesto en este artículo, ha tenido un rol cada vez más relevante hasta transformarse, en la década de los sesenta, en el verdadero protagonista de la metrópolis que se estaba construyendo. Pues bien, tal como dice Cacciari, el espacio colectivo es y fue el silencio entre las partituras de edificios, bloques y departamentos. Es el lugar del habitar metropolitano, ese espacio indeterminado, cuya propiedad y dominio —por lo menos en Chile— no se ha logrado definir con precisión. El espacio colectivo se tensiona entre la vida privada de los departamentos y la vida pública de la ciudad. Estos barrios conforman hoy parte importante de nuestras ciudades y son el producto construido de las voluntades políticas y legislativas audaces, que —quizás con demasiada ingenuidad o utopía— pensaron una ciudad en la cual la colectividad tuviera su espacio propio en el cual desarrollarse.

Bibliografía

1. 

Bravo Heitmann, Luis. Chile: el problema de la vivienda a través de su legislación. Plan habitacional Alessandri. Santiago de Chile: Editorial Universidad Católica, 1959.

2. 

Cacciari, Massimo. La città. Villa Verucchio (Rímmini): Pazzini Stampadore Editore, 2004.

3. 

Castillo, María José y Rodrigo Hidalgo. 1906/2006: cien años de política de vivienda en Chile. Santiago de Chile: Facultad de Arquitectura y Diseño de la UNAB y del Instituto de Geografía de la Facultad de Historia, Geografía y Ciencia Política de la PUC Chile, 2007.

4. 

Gobierno de Chile, Ministerio del Interior. Ley 1838, de 20 de febrero de 1906. Santiago de Chile, https://www.leychile.cl/N?i=22950&f=1912-12-13&p=.

5. 

Gobierno de Chile, Ministerio de Justicia. Ley 6071 de 1937, dispone que los diversos pisos de un edificio y los departamentos en que se divida cada piso podrán pertenecer a distintos propietarios. Santiago de Chile, http://www.leychile.cl/N?i=256753&f=1997-1216&p=.

6. 

Gobierno de Chile, Ministerio de Hacienda. Ley 9135 de 1948, dispone que las habitaciones económicas que se construyan, de acuerdo con los requisitos que establece. Santiago de Chile, https://www.leychile.cl/N?i=25937&f=1968-02-09&p=

7. 

Gobierno de Chile, Corporación de la Vivienda. Plan habitacional Chile. Santiago de Chile, 1963.

8. 

Gobierno de Chile. Ley y Ordenanza General sobre Construcciones y Urbanización (1936). Diario Oficial 17.386 del 6 de febrero de 1936. Santiago, Chile: Imprenta Cultura, 1938.

9. 

Hidalgo Dattwyler, Rodrigo. La vivienda social en Chile y la construcción del espacio urbano en el Santiago del siglo XX. Santiago de Chile: Instituto de Geografía Pontificia Universidad Católica de Chile, Centro de Investigaciones Diego Barros Arana, 2005.

10. 

Iglesias, Felipe. “1933-1936: cambios físicos en la vivienda colectiva en Chile. Desde la población al colectivo: el caso del Barrio San Eugenio en Santiago de Chile”. Documento procedente del Taller de Investigación 2º semestre 2010: los espacios de la vivienda colectiva moderna. La evolución de los sistemas residenciales en Santiago. 1906–1959. Santiago de Chile: Pontificia Universidad Católica de Chile, 2º semestre de 2010.

11. 

Poblete, Andrea. “Evolución de los espacios públicos en los conjuntos Huemul”. Documento procedente del Taller de Investigación 2º semestre 2010: los espacios de la vivienda colectiva moderna. La evolución de los sistemas residenciales en Santiago. 1906–1959. Santiago de Chile: Pontificia Universidad Católica de Chile, 2º semestre de 2010.

12. 

Raposo Moyano, Alfonso. Espacio urbano e ideología: el paradigma de la corporación de la vivienda en la arquitectura habitacional chilena, 1953–1976. Santiago de Chile: Universidad Central, 2001.

13. 

Rossi, Aldo. La arquitectura de la ciudad. Barcelona: Gustavo Gili, 1982.

14. 

Undurraga Ossa, Sergio. “Pisos y departamentos”. Anales de la Facultad de Ciencias Jurídicas y Sociales II, n.º 5 (enero-marzo de 1936), http://www.analesderecho.uchile.cl/index.php/ACJYS/article/viewArticle/4043/3939

15. 

“Unidad Vecinal Portales”. Chile Construye n.º 1 (octubre de 1961): 12–18.

16. 

Valenzuela, Luis. Mass Housing and Urbanization on the Road to Modernization in Santiago of Chile, 1930–1960. Cambridge, Mass.: The Harvard University Press, 2005.

17. 

Vizcaíno, Marcelo. Ricardo Larraín Bravo 1879-1845: obra arquitectónica. Santiago de Chile: Ediciones Universidad Diego Portale

Notes

[*] Este artículo se desarrolló a partir de los resultados del proyecto Fondecyt de Iniciación 11121338, titulado Arquitectura y política habitacional: trece proyectos de viviendas económicas y la construcción de la metrópolis. Santiago 1948-1973. Umberto Bonomo es el investigador responsable, sin coinvestigador.

[1] Estas fechas corresponden a la creación de la primera ley en temas habitaciones de 1906 y a 1959, fecha en la cual se aprueba el Decreto con Fuerza de Ley 2. En este marco temporal, el tema de la habitación colectiva se instala en el interior del Estado con una paulatina y consistente transformación institucional y legislativa que permitió la creación de obras emblemáticas en estas materias. Este proceso culmina con la creación del Ministerio de Vivienda y Urbanismo, en 1965.

[2] Bravo Heitmann, Chile: el problema de la vivienda a través de su legislación.

[3] Hidalgo Dattwyler, La vivienda social en Chile.

[4] Raposo, Espacio urbano e ideología.

[5] Castillo e Hidalgo, 1906/2006 Cien años de política de vivienda en Chile.

[6] Valenzuela, Mass Housing and Urbanization.

[7] Gobierno de Chile, Ministerio del Interior, Ley 1838.

[8] Cfr. Vizcaíno, Ricardo Larraín Bravo, 80.

[9] Una institución de orden social que distribuía leche entre la población.

[10] Los DFL en Chile son decretos con fuerza de ley emitidos por el presidente de la República como medida extraordinaria para agilizar la actuación del Gobierno frente a temas de alto interés público.

[11] Cfr. Valenzuela, Mass Housing and Urbanization.

[12] Gobierno de Chile, Ley y Ordenanza General sobre Construcciones y Urbanización (1936).

[13] Ibid., 15.

[14] Gobierno de Chile, Ministerio de Justicia, Ley 6071.

[15] Ibid., 1.

[16] Ibid., 1.

[17] Ibid.,, 2.

[18] Undurraga Ossa, “Pisos y departamentos”, s. p.

[19] La Corvi se creó en 1953, por medio de la fusión entre la Corporación de Auxilio y Reconstrucción y la Caja de la Habitación Popular.

[20] Gobierno de Chile, Ministerio de Hacienda, Ley 9135.

[21] “Unidad Vecinal Portales”, 15.

[22] Ibid., 16.